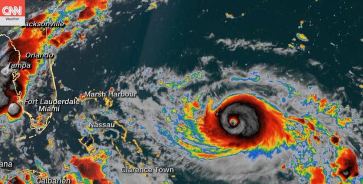
Dorian se convirtió este viernes en un huracán de categoría 4 en la escala de Saffir-Simpson (de un máximo de 5), luego de que sus vientos máximos sostenidos superaran los 215 km/h.
Según anunció el Centro Nacional de Huracanes (NHC, por sus siglas en inglés) de Estados Unidos en un reporte a las 00:30 GMT de este sábado, el ciclón se ha fortalecido hasta convertirse en un fenómeno “extremadamente peligroso”, así lo reseña la BBC.
Un ciclón llega a la categoría 4 cuando sus vientos oscilan entre los 209 km/h y los 251 km/h y son considerados “huracanes de categoría mayor”.
LEA TAMBIÉN: Advierten de la “triple amenaza” que podría traer a Florida el huracán Dorian
EL NHC prevé que el huracán siga fortaleciéndose y se acerque a Bahamas, primero, antes de acercarse a la costa este de Florida durante la tarde del lunes.
En cualquier caso, indicaron que esperan que se produzcan fuertes lluvias sobre una parte de las Bahamas, sobre Florida y en otras partes del sureste de Estados Unidos.
Planes de contingencia
Desde mediados de semana, los residentes de Florida acudieron de forma masiva a los comercios para adquirir las provisiones necesarias para hacer frente a esta contingencia.
En varios supermercados de la ciudad de Miami, las ventas de agua embotellada estaban siendo racionadas ante la intensa demanda y se empezaban a observar algunas colas en las estaciones de gasolina.
LEA TAMBIÉN: Brasil prohíbe por 60 días el uso de fuego para preparar siembra en Amazonía
Ante la incertidumbre, las autoridades han recomendado a los residentes de las zonas que potencialmente podrían verse afectadas por Dorian que tomen precauciones y se abastezcan de agua, comida y medicinas suficientes para cubrir sus necesidades durante varios días.



